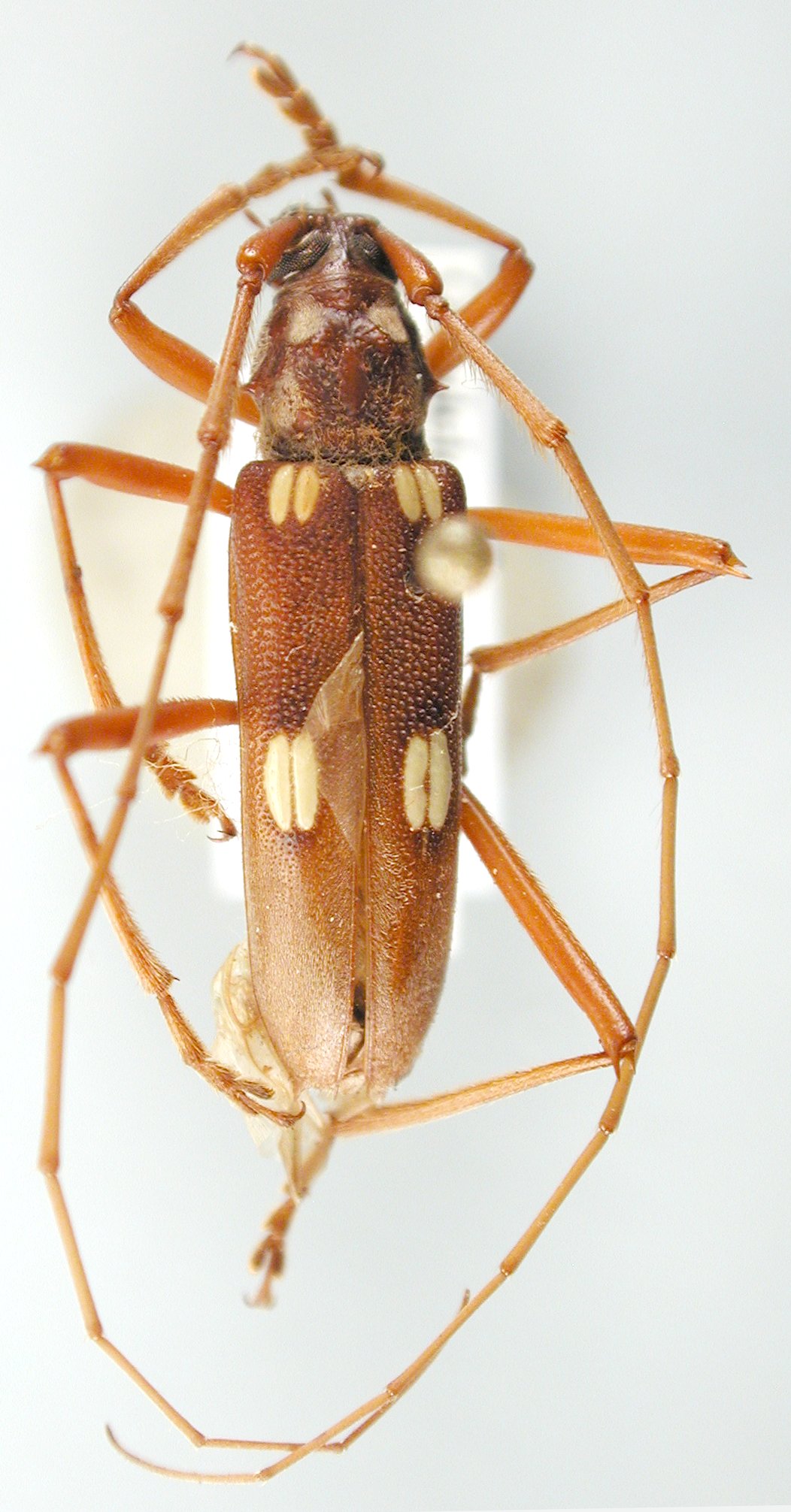
_(f)_Chevrolat_IRSNB_JAC.jpg)
Specimen Type: syntype Sex: f Institution: IRSNB Royal Belgian Institute of Natural Sciences, Brussels, Belgium Photographer: John Chemsak Collection Location: Guadeloupe 16189
|

Institution: UCB Essig Museum of Entomology, Berkeley, California, USA Photographer: Larry G. Bezark Determiner: John Chemsak 6943
|
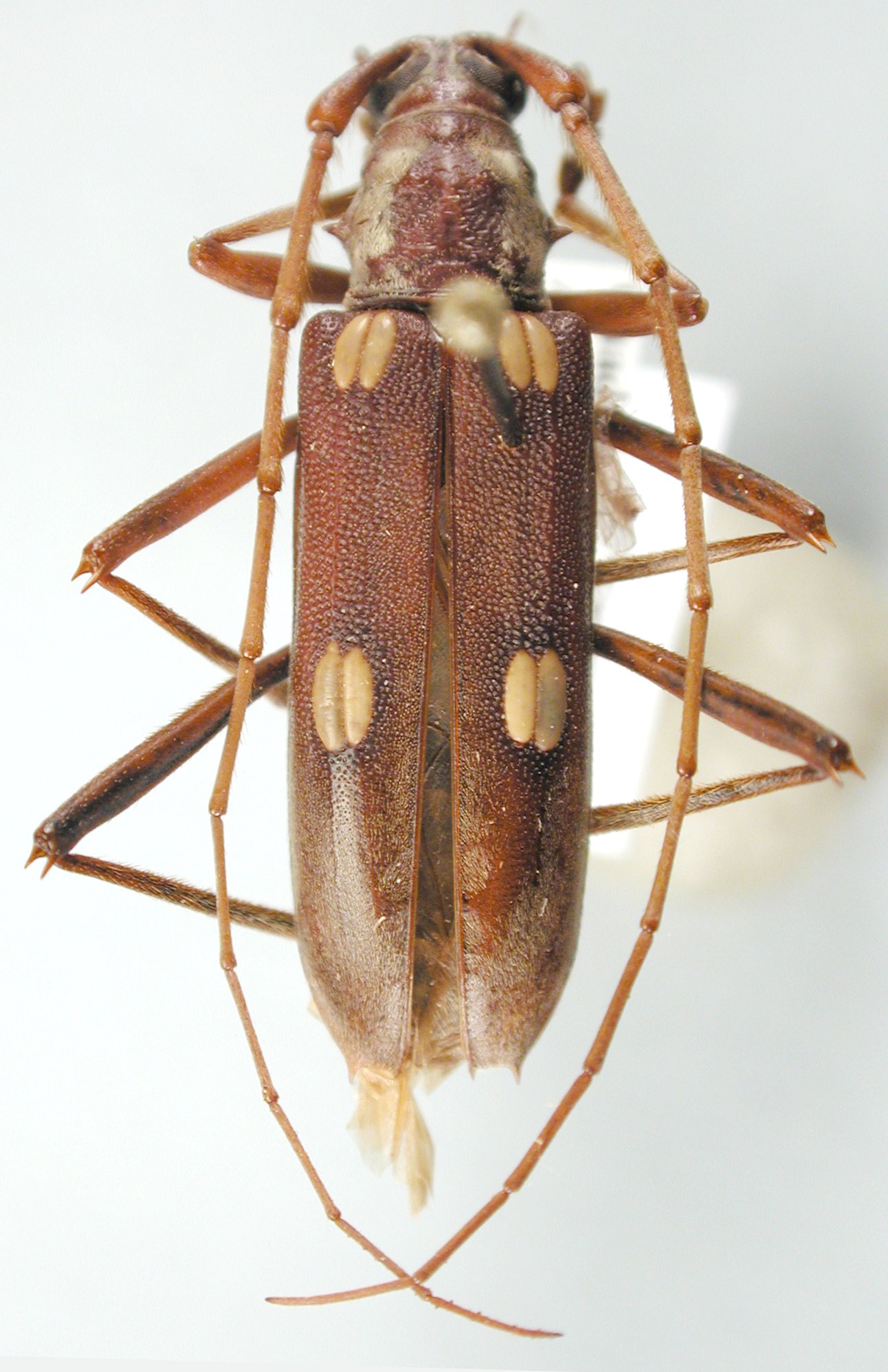
 Chevrolat Maree, Guadeloupe JCPC LGB.jpg)
Sex: m Institution: JCPC Jim Cope Collection, San Jose, California, USA now at CSCA, Sacramento Photographer: Larry G. Bezark Determiner: Jim Cope Collection Location: Maree, Guadeloupe 98607
|
 Chevrolat Maree, Guadeloupe JCPC LGB.jpg)
Sex: f Institution: JCPC Jim Cope Collection, San Jose, California, USA now at CSCA, Sacramento Photographer: Larry G. Bezark Determiner: Jim Cope Collection Location: Maree, Guadeloupe 98608
|
|