_Martins_and_Galileo_MZSP_Tolima_Armero_Colombia_Iheringia.jpg)
Specimen Type: holotype Sex: m Institution: MZSP Museu de Zoologia da Universidade de São Paulo, Brazil Collection Location: Tolima, Armero, Colombia 20896
|
_Martins_and_Galileo_Ceram_Sul_Americanos.jpg)
Specimen Type: holotype Sex: m Institution: MZSP Museu de Zoologia da Universidade de São Paulo, Brazil Collection Location: Tolima, Armero, Colombia 21340
|
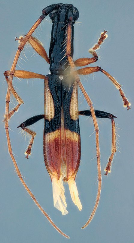
_M_G_MZSP_Armero_Guayabal_Mendez_Tolima_Colombia_SS.jpg)
Specimen Type: paratype Sex: m Institution: MZSP Museu de Zoologia da Universidade de São Paulo, Brazil Photographer: Antonio Santos-Silva Collection Location: Armero, Guayabal Mendez, Tolima, Colombia 69436
|
_M_G_Usiacuri_San_Jacinto_Res_LaFlecha_Bolivar_Col_Garcia.jpg)
Sex: f Photographer: Kim Garcia Collection Location: Usiacuri, San Jacinto, Reserva La Flecha, Bolivar, Colombia 69437
|
|