New Search Family, Subfamily and Tribe List

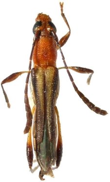
SubFamily Cerambycinae

Tribe Rhinotragini
Ecliptoides pilosipes (Penaherrera-Leiva & Tavakilian, 2004)

Photographer: Denis Faure
Collection Location: French Guiana
22178


Sex: f
Photographer: Antonio Santos-Silva
37109

130425