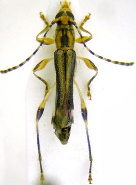
_vasconezi_(h-f)_Penaherrera-Leiva_and_Tavakilian_French_Guiana_MNHN_Coleopteres.jpg)
Ommata vasconezi Penaherrera-Leiva & Tavakilian Specimen Type: holotype Sex: f Institution: MNHN Museum of Natural History Paris, France Collection Location: French Guiana 23153
|
_Belizon_Fr_Guiana_Giuglaris.jpg)
Photographer: Jean-Louis Giuglaris Collection Location: Belizon, French Guiana 29065
|