_Penah_and_Tava_MNHN_Fr_Guiana_=_Ecliptoides_Tava.jpg)
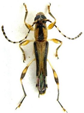
Ommata giuglarisi Penaherrera-Leiva & Tavakilian Specimen Type: holotype Sex: m Institution: MNHN Museum of Natural History Paris, France Photographer: Gerard Tavakilian Collection Location: French Guiana 23143
|

Photographer: Jean-Louis Giuglaris Collection Location: Belizon, French Guiana 29049
|