_Penah_and_Tava_MNHN_Fr_Guiana_=_Ecliptoides_Tava.jpg)
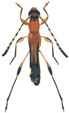
Ommata lauraceae Penaherrera-Leiva & Tavakilian Specimen Type: holotype Sex: m Institution: MNHN Museum of Natural History Paris, France Photographer: Gerard Tavakilian Collection Location: French Guiana 37138
|
_lauraceae_(h-m_p-f)_Penaherrera-Leiva_and_Tavakilian_French_Guiana_MNHN_Coleopteres.jpg)
Ommata lauraceae Penaherrera-Leiva & Tavakilian Specimen Type: holotype, paratype Sex: mf Institution: MNHN Museum of Natural History Paris, France Collection Location: French Guiana 23147
|