_kawensis_(h-m)_Penaherrera-Leiva_and_Tavakilian_French_Guiana_MNHN_Coleopteres.jpg)
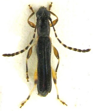
Ommata kawensis Penaherrera-Leiva & Tavakilian Specimen Type: holotype Sex: m Institution: MNHN Museum of Natural History Paris, France Collection Location: French Guiana 23146
|

Photographer: Jean-Louis Giuglaris Collection Location: Belizon, French Guiana 29050
|