_Pena-Leiva_and_Tav_Fr_Guinea_Faure.jpg)
Specimen Type: paratype Photographer: Denis Faure Collection Location: French Guiana 28841
|
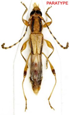
 Pena-L Tava MNHN Montagne Singes pk 1, French Guiana SS.jpg)
Specimen Type: paratype Sex: f Institution: MNHN Museum of Natural History Paris, France Photographer: Antonio Santos-Silva Collection Location: Montagne Singes pk 1, French Guiana 22795
|