New Search Family, Subfamily and Tribe List

SubFamily Cerambycinae

Tribe Rhinotragini
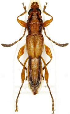
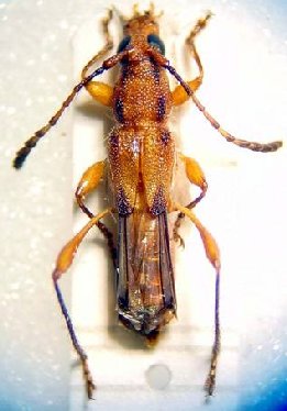
Ischasia sabatieri Penaherrera-Leiva & Tavakilian 2004

Sex: f
Photographer: Frédéric Robin
Collection Location: Piste d'Apatou, French Guiana
78475


Photographer: Jean-Louis Giuglaris
Collection Location: French Guiana
28837


Photographer: Denis Faure
Collection Location: French Guiana
28842


Photographer: Denis Faure
Collection Location: French Guiana
22004

130425