New Search Family, Subfamily and Tribe List

SubFamily Cerambycinae

Tribe Rhinotragini
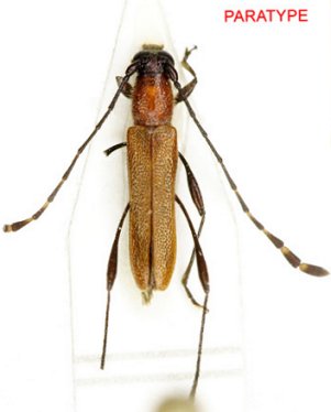
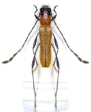
Rhopalessa moraguesi (Tavakilian & Penaherrera-Leiva, 2003)

Ommata moraguesi Tavakilian & Penaherrera-Leiva
Specimen Type: paratype
Photographer: Denis Faure
Collection Location: French Guiana
29053


Photographer: Denis Faure
Collection Location: French Guiana
22188

130425