New Search Family, Subfamily and Tribe List

SubFamily Cerambycinae

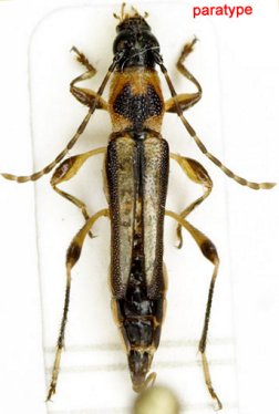
Tribe Rhinotragini
Odontocera javieri Tavakilian & Penaherrera-Leiva 2003

Specimen Type: paratype
Photographer: Denis Faure
Collection Location: French Guiana
28925


Sex: m
Collection Location: French Guiana
23114


Photographer: Denis Faure
Collection Location: French Guiana
22155

130425