New Search Family, Subfamily and Tribe List

SubFamily Cerambycinae

Tribe Rhinotragini
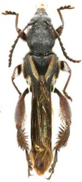
Charisia bleuzeni (Penaherrera-Leiva & Tavakilian, 2003)

Specimen Type: holotype
Sex: f
Institution: MNHN Museum of Natural History Paris, France
Photographer: Odette Morvan
Collection Location: Piste Coralie, pk 6, French Guiana
25167


Sex: m
Photographer: Odette Morvan
55624


Photographer: Jean-Louis Giuglaris
Collection Location: Regina, French Guiana
28733

130425