New Search Family, Subfamily and Tribe List

SubFamily Cerambycinae

Tribe Rhinotragini
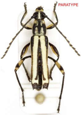
Eclipta malacodermoides (Penaherrera-Leiva & Tavakilian) 2003

Ommata malacodermoides Penaherrera-Leiva & Tavakilian
Specimen Type: paratype
Photographer: Denis Faure
Collection Location: French Guiana
29052


Sex: f
Photographer: Jean-Louis Giuglaris
Collection Location: Kaw, French Guiana
23148


Photographer: Denis Faure
Collection Location: French Guiana
22176


Photographer: Odette Morvan
Collection Location: Kaw, French Guiana
25208

130425