New Search Family, Subfamily and Tribe List

SubFamily Cerambycinae

Tribe Rhinotragini
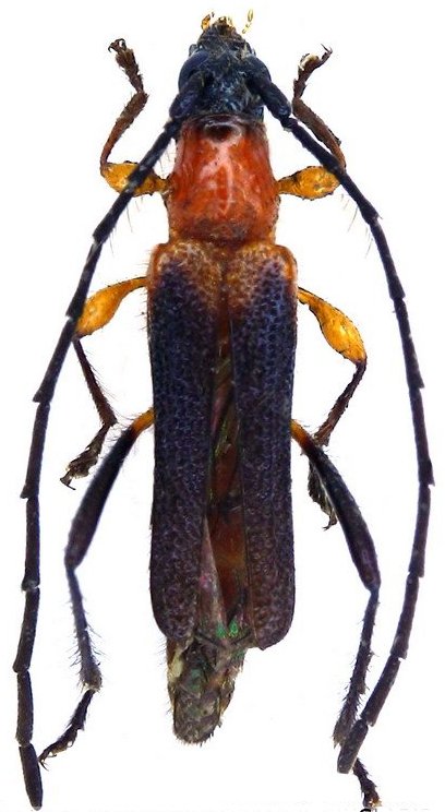
Mimommata mollardi Penaherrera-Leiva & Tavakilian 2003

Specimen Type: holotype
Sex: f
Institution: MNHN Museum of Natural History Paris, France
Collection Location: French Guiana
23020


Photographer: Jean-Louis Giuglaris
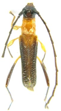
Collection Location: Kaw, French Guiana
68077


Photographer: Jean-Louis Giuglaris
Collection Location: Belizon, French Guiana
28885

130425