New Search Family, Subfamily and Tribe List

SubFamily Cerambycinae

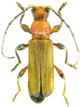
Tribe Rhinotragini
Corallancyla durantoni Penaherrera-Leiva & Tavakilian 2003

Specimen Type: holotype
Sex: f
Institution: MNHN Museum of Natural History Paris, France
Collection Location: French Guiana
22619


Photographer: Jean-Louis Giuglaris
Collection Location: Regina, French Guiana
28662

130425