 Ph-L Tava Montagne des Chevaux, Roura, French Guiana Robin.jpg)
Sex: m Photographer: Frédéric Robin Collection Location: Montagne des Chevaux, French Guiana 79351
|
_pronotum_Giuglaris_photo.jpg)
Sex: m Photographer: Jean-Louis Giuglaris 37143
|

Photographer: Denis Faure Collection Location: French Guiana 22391
|
_pronotum_Giuglaris_photo.jpg)
Sex: f Photographer: Jean-Louis Giuglaris 37144
|

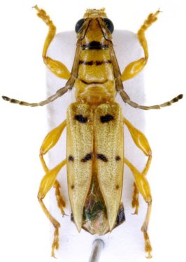
Photographer: Denis Faure Collection Location: French Guiana 29190
|
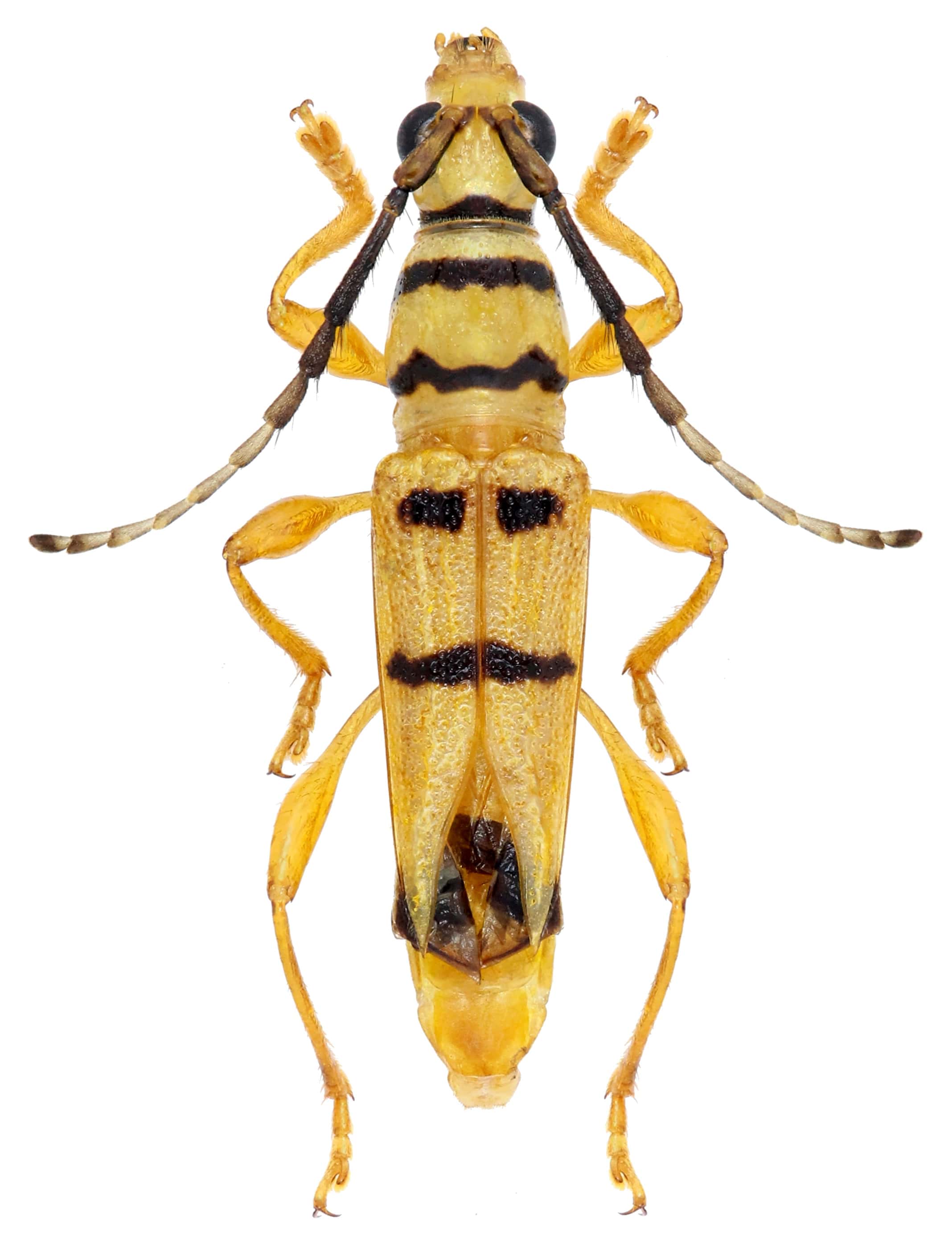
_Belizon_Fr_Guiana_Giuglaris.jpg)
Sex: mf Photographer: Jean-Louis Giuglaris Collection Location: Belizon, French Guiana 29191
|