New Search Family, Subfamily and Tribe List

SubFamily Cerambycinae

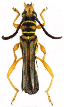
Tribe Rhinotragini
Odontocera barnouini Penaherrera-Leiva & Tavakilian 2003

Photographer: Denis Faure
Collection Location: French Guiana
28918


Photographer: Jean-Louis Giuglaris
Collection Location: Belizon, French Guiana
28919


Photographer: Denis Faure
Collection Location: French Guiana
22152

130425