New Search Family, Subfamily and Tribe List

SubFamily Cerambycinae

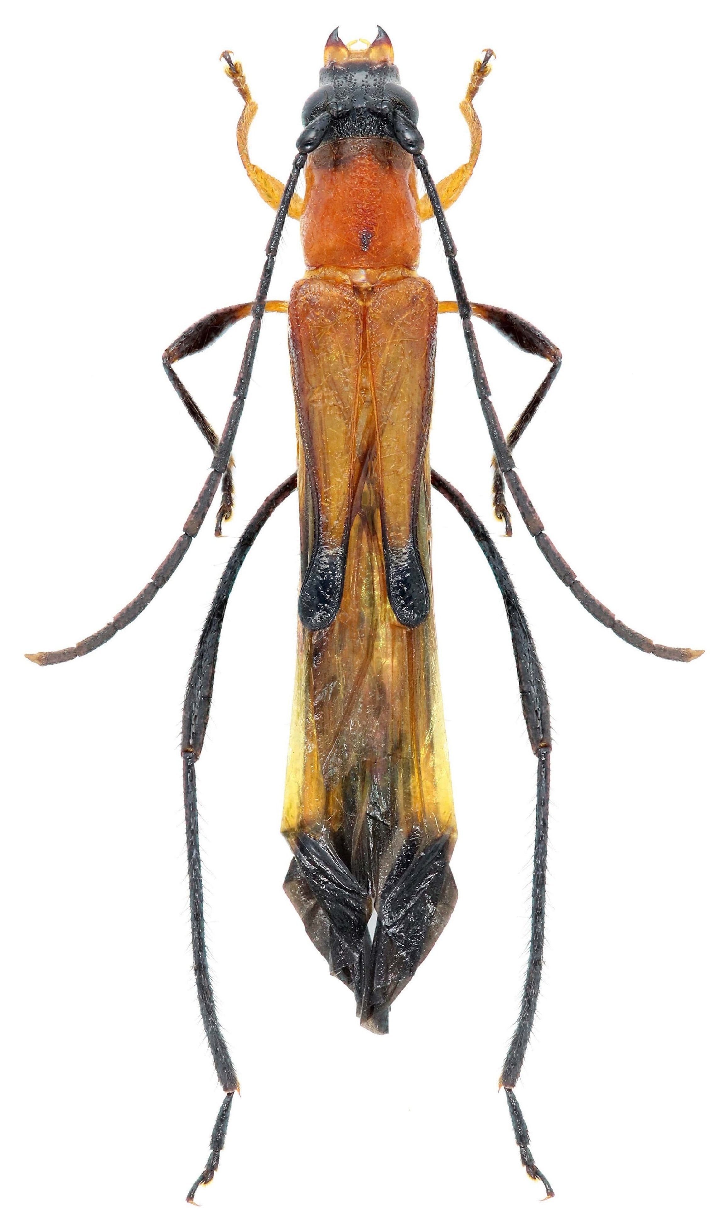
Tribe Rhinotragini
Thouvenotiana ichneumona Penaherrera-Leiva & Tavakilian 2003

Specimen Type: holotype
Sex: f
Institution: MNHN Museum of Natural History Paris, France
Collection Location: Piste, Nancibo plateau, French Guiana
25386


Sex: f
Photographer: Frédéric Robin
Collection Location: Matoury, French Guiana
80576


Photographer: Jean-Louis Giuglaris
Collection Location: Kaw, French Guiana
29386

130425