.jpg)
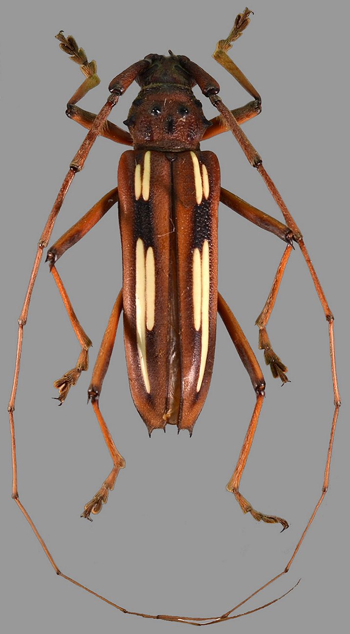
Specimen Type: holotype Sex: f? Institution: BMNH British Museum Natural History, London, UK Collection Location: Capetillo, Sacatepéquez, Guatemala 6929
|

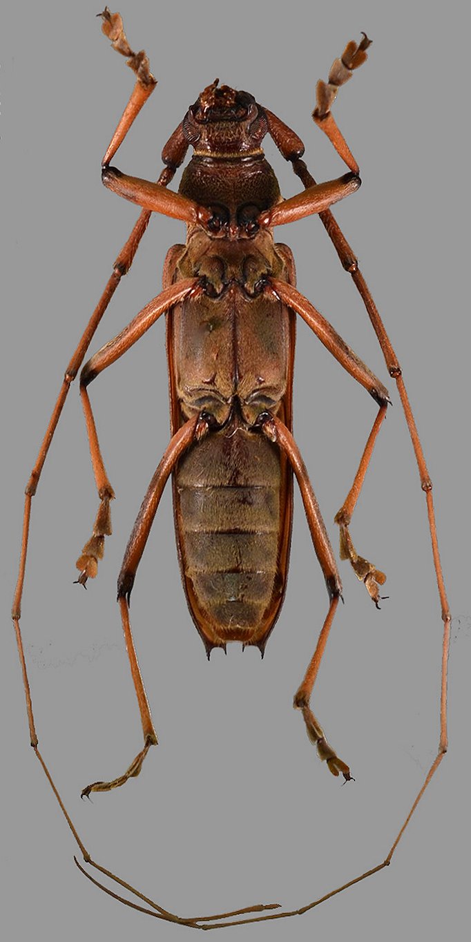
Institution: BCA Biologia Centrali Americana 6930
|
_Bates_Perez_pic_CNIN.jpg)
Sex: m Institution: UNAM Instituto de Biología, Universidad Nacional Autónoma de México, Mexico City 65250
|
_Bates_Perez_pic_CNIN.jpg)
Sex: m Institution: UNAM Instituto de Biología, Universidad Nacional Autónoma de México, Mexico City 65251
|

Photographer: Felipe Noguera 6931
|
|