_Martins_and_Galileo_NMNH_SWL_=_Eranina.jpg)
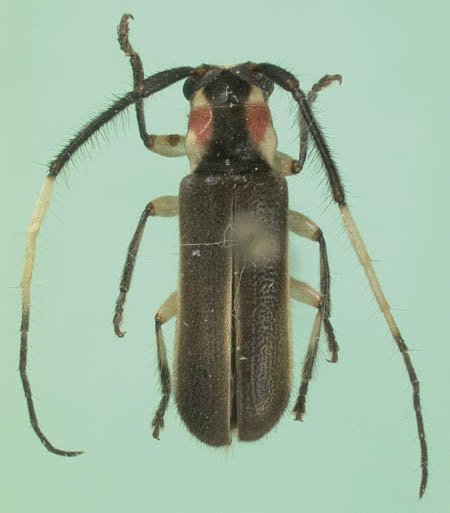
Erana rosea Martins & Galileo Specimen Type: holotype Sex: f Institution: NMNH United States National Museum, Washington, DC, USA Photographer: Steve Lingafelter Collection Location: 8-11 km N El Llano, Panama 21313
|
_M_and_G_NMNH_El_Llano_Carti_Rd_Panama.jpg)
Erana rosea Martins & Galileo Specimen Type: holotype Sex: f Institution: NMNH United States National Museum, Washington, DC, USA Photographer: Steve Lingafelter Collection Location: 8-11 km N El Llano, Panama 40035
|