_G_and_M_INBio_=_Eranina_Swift_CR_2008_033.jpg)
Erana costaricensis Galileo & Martins Specimen Type: holotype Institution: INBC Instituto Nacional de Biodiversidad, Santo Domingo de Heredia, Heredia, Costa Rica Photographer: Ian Swift 25865
|
_(G_M)_MZSP_Est_Biol_La_Selva_Heredia_CR_SS.jpg)
Sex: m Institution: MZSP Museu de Zoologia da Universidade de São Paulo, Brazil Photographer: Antonio Santos-Silva Collection Location: Finca La Selva, 3 km S Puerto Viejo, Heredia, Costa Rica 69607
|
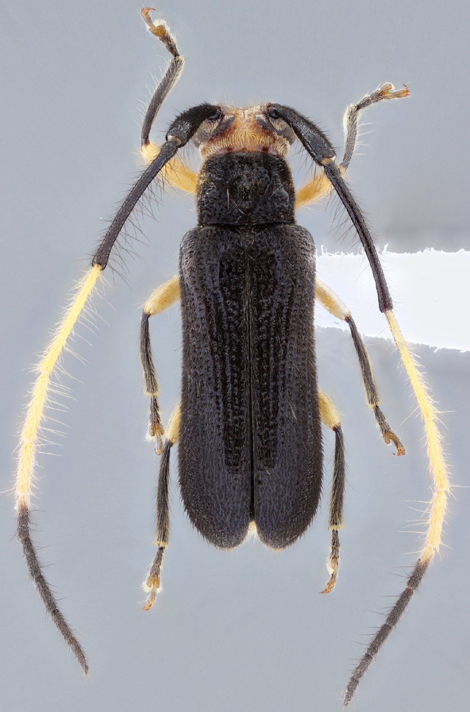
_(G_M)_MZSP_Est_Biol_La_Selva_Heredia_CR_SS.jpg)
Sex: m Institution: MZSP Museu de Zoologia da Universidade de São Paulo, Brazil Photographer: Antonio Santos-Silva Collection Location: Finca La Selva, 3 km S Puerto Viejo, Heredia, Costa Rica 69608
|
_La_Selva_Heredia_Costa_Rica_Det_Martins_LGB.jpg)
Photographer: Larry G. Bezark Determiner: Martins Collection Location: La Selva, Heredia, Costa Rica 24607
|
_La_Selva_Heredia_Costa_Rica_Det_Martins_LGB.jpg)
Photographer: Larry G. Bezark Determiner: Martins Collection Location: La Selva, Heredia, Costa Rica 24608
|
|