New Search Family, Subfamily and Tribe List

SubFamily Lamiinae

Tribe Hemilophini
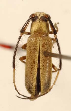
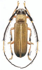
Acaiu spinosus Galileo & Martins 2005

Specimen Type: holotype
Sex: m
Collection Location: Ecuador
19970


Specimen Type: holotype
Photographer: Steve Lingafelter
Collection Location: Ecuador
21204

130425