New Search Family, Subfamily and Tribe List

SubFamily Lamiinae

Tribe Hemilophini
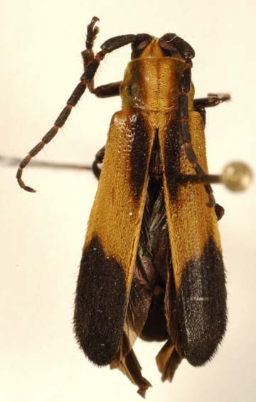
Acapiata dilatata Galileo & Martins 2005

Specimen Type: holotype
Sex: m
19977


Specimen Type: holotype
Institution: NMNH United States National Museum, Washington, DC, USA
Photographer: Steve Lingafelter
Collection Location: Reserva Étnica Waorani, Napo, Ecuador
21205

130425