_Galileo_and_Martins_SWL.jpg)
Specimen Type: holotype Sex: f Institution: NMNH United States National Museum, Washington, DC, USA Photographer: Steve Lingafelter Collection Location: Rancho Grande, Aragua, Venezuela 21203
|
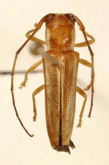
_G_and_M_NMNH_Rancho_Grande_Arag_Venez.jpg)
Specimen Type: holotype Sex: f Institution: NMNH United States National Museum, Washington, DC, USA Photographer: Steve Lingafelter Collection Location: Rancho Grande, Aragua, Venezuela 39989
|