_Martins_and_Galileo_IAHC_SFF_Iguaque_Boyaca_Colombia_Rev_Bras_Zool.jpg)
Specimen Type: holotype Sex: f Institution: IAHC Instituto de Investigaciones
de Recursos Biológicos “Alexander von Humboldt” Collection Location: Iguaque, Boyaca, Colombia 23180
|
_M_G_MZSP_Palestina_Huila_Colombia_SS.jpg)
Sex: m Institution: MZSP Museu de Zoologia da Universidade de São Paulo, Brazil Photographer: Antonio Santos-Silva Collection Location: Palestina, Huila, Colombia 72075
|
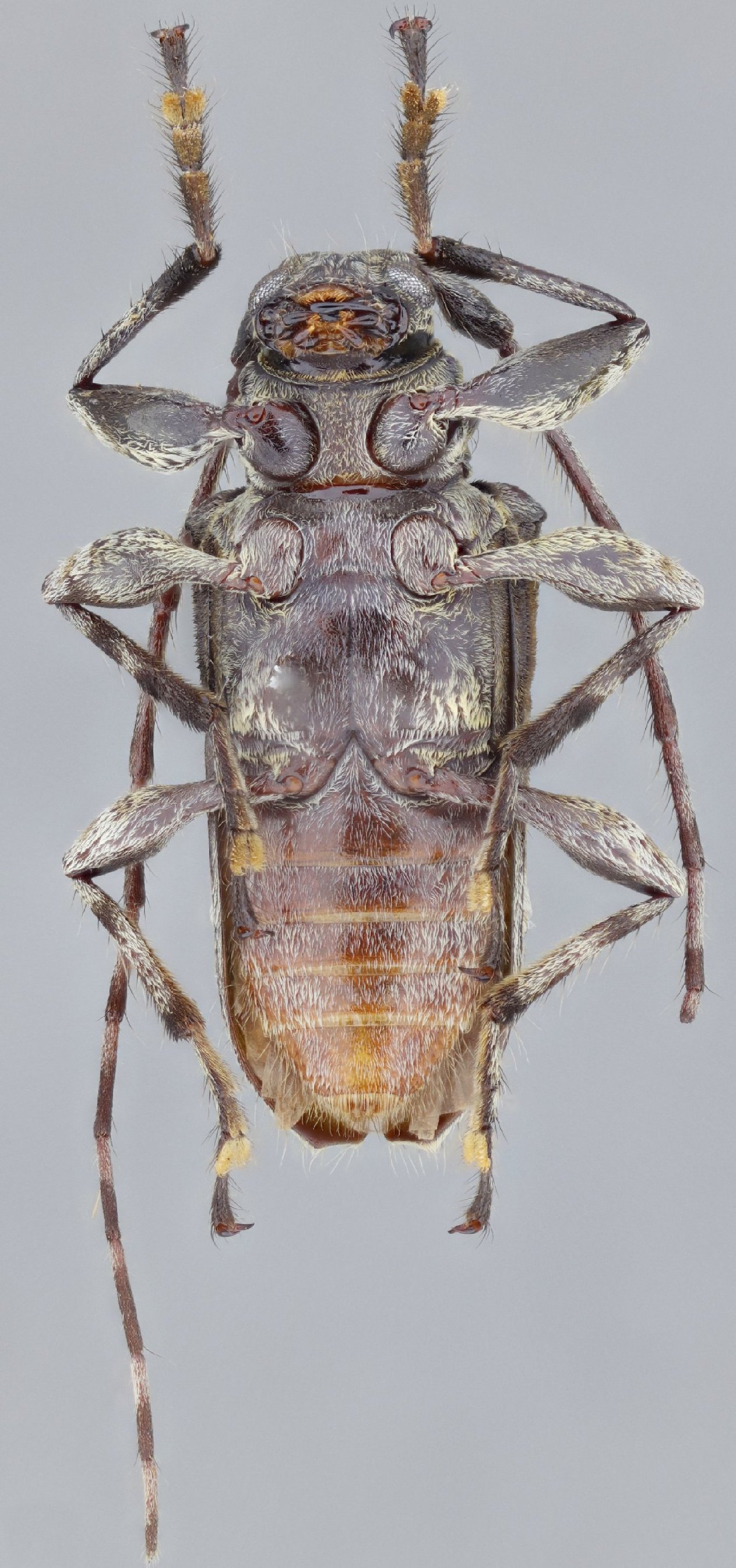
_M_G_MZSP_Palestina_Huila_Colombia_SS.jpg)
Sex: m Institution: MZSP Museu de Zoologia da Universidade de São Paulo, Brazil Photographer: Antonio Santos-Silva Collection Location: Palestina, Huila, Colombia 72076
|
_M_G_MZSP_Palestina_Huila_Colombia_SS.jpg)
Sex: m Institution: MZSP Museu de Zoologia da Universidade de São Paulo, Brazil Photographer: Antonio Santos-Silva Collection Location: Palestina, Huila, Colombia 72077
|
_M_G_MZSP_Palestina_Huila_Colombia_SS.jpg)
Sex: m Institution: MZSP Museu de Zoologia da Universidade de São Paulo, Brazil Photographer: Antonio Santos-Silva Collection Location: Palestina, Huila, Colombia 72074
|
|