New Search Family, Subfamily and Tribe List

SubFamily Cerambycinae

Tribe Eburiini
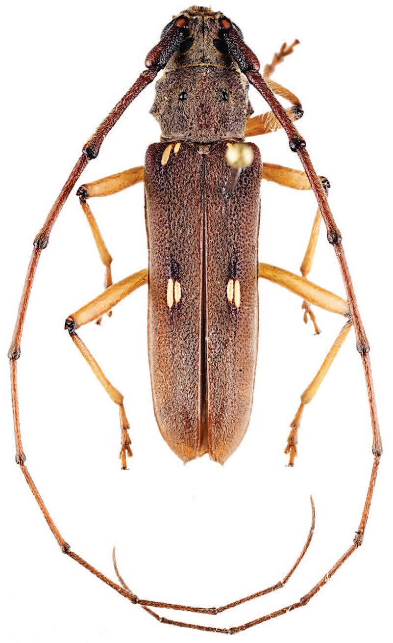
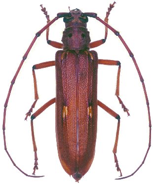
Pantomallus inermis Fleutiaux & Sallé 1890

Sex: f
Photographer: Julien Touroult
Collection Location: Guadeloupe
22935


Sex: m
Photographer: Julien Touroult
Collection Location: Guadeloupe
22936

130425