New Search Family, Subfamily and Tribe List

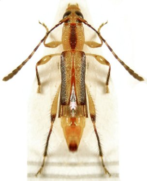
SubFamily Cerambycinae

Tribe Rhinotragini
Ecliptoides azadi (Tavakilian & Peñaherrera – Leiva, 2003)

Photographer: Denis Faure
Collection Location: French Guiana
28725


Collection Location: French Guiana
21134

130425