New Search Family, Subfamily and Tribe List

SubFamily Cerambycinae

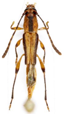
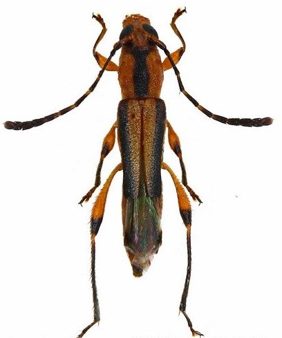
Tribe Rhinotragini
Ecliptoides hovorei (Tavakilian & Peñaherrera – Leiva, 2003)

Photographer: Denis Faure
Collection Location: French Guiana
28726


Photographer: Denis Faure
Collection Location: French Guiana
22182


Photographer: Jean-Louis Giuglaris
Collection Location: Kaw, French Guiana
23145

130425