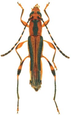
_Tava_and_Penah_MNHN_Montagne_Longi_Bassin_du_Sinnamary_Fr_G=_Ecliptoides.jpg)
Ommata rouperti Tavakilian & Penaherrera-Leiva Specimen Type: holotype Sex: f Institution: MNHN Museum of Natural History Paris, France Photographer: Gerard Tavakilian Collection Location: Montagne Longi Bassin du Sinnamary, French Guiana 23154
|
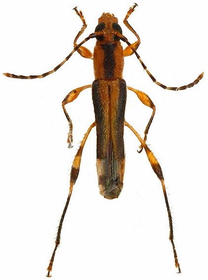
 Montagne de Chevaux, Roura, French Guiana Robin.jpg)
Photographer: Frédéric Robin Collection Location: Montagne de Chevaux, Roura, French Guiana 90793
|
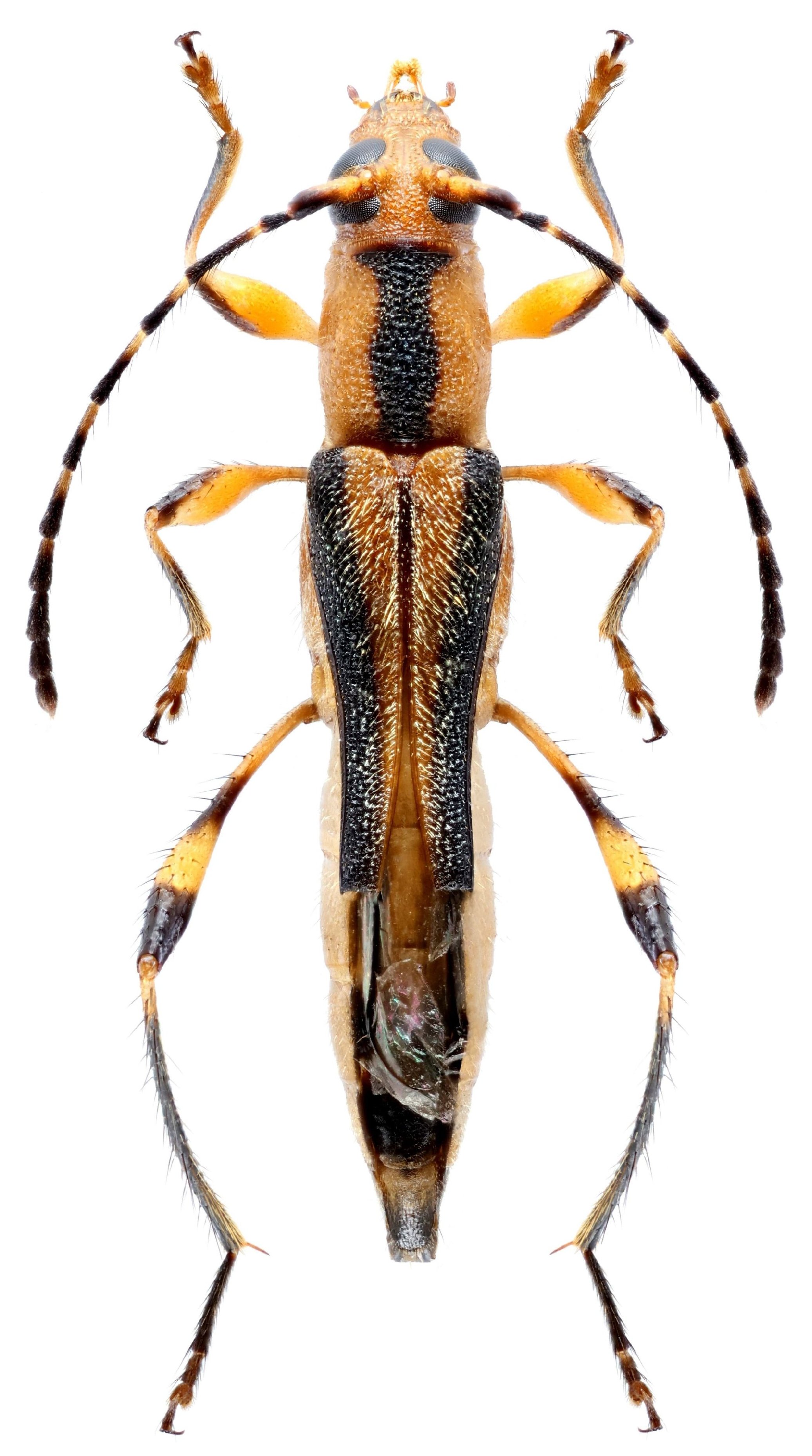
_Kaw_FG_JLG.jpg)
Photographer: Jean-Louis Giuglaris Collection Location: Belizon, French Guiana 28727
|
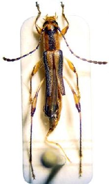
_rouperti_Tavakilian_and_Penaherrera-Leiva_Faure_French_Guiana.jpg)
Photographer: Denis Faure Collection Location: French Guiana 22183
|

Institution: LGBC Larry G. Bezark Collection, Sacramento, California, USA Photographer: Larry G. Bezark Collection Location: Matiti, French Guiana 78379
|
|