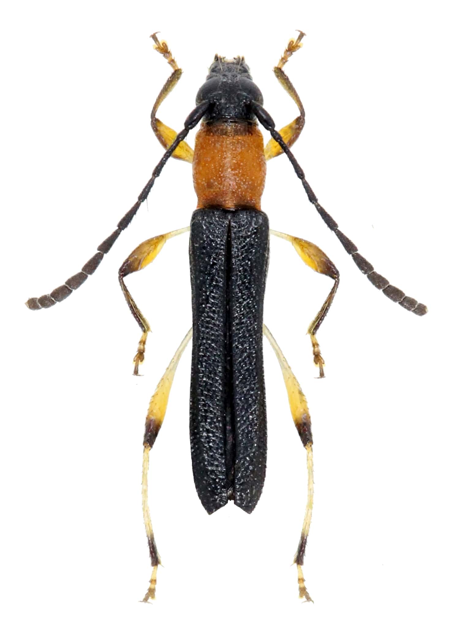
 (Tav Pena-H) Montagne des Chevaux, Roura, French Guiana Robin.jpg)
Sex: f Photographer: Frédéric Robin Collection Location: Montagne des Chevaux, Roura, French Guiana 78188
|

Photographer: Denis Faure Collection Location: French Guiana 29058
|

Photographer: Jean-Louis Giuglaris Collection Location: Kaw, French Guiana 29059
|
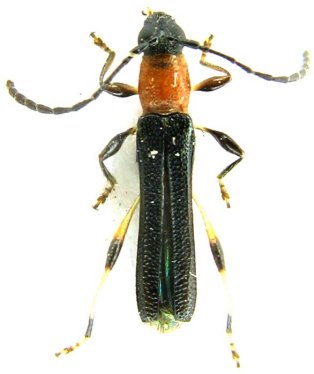
_pseudoruficollis_(f)_Tavakilian_and_Penaherrera-Leiva_French_Guiana_MNHN_Coleopteres.jpg)
Sex: f Institution: MNHN Museum of Natural History Paris, France Collection Location: French Guiana 23150
|
|