New Search Family, Subfamily and Tribe List

SubFamily Cerambycinae

Tribe Rhinotragini
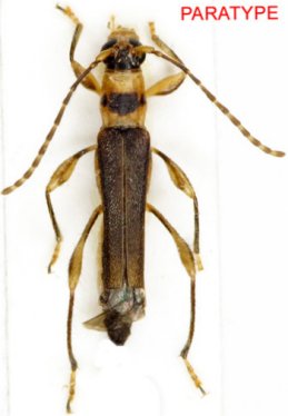
Eclipta notatipes (Tavakilian & Peñaherrera – Leiva, 2005)

Ommata notatipes Tavakilian & Peñaherrera – Leiva
Specimen Type: paratype
Photographer: Denis Faure
Collection Location: French Guiana
29054


Photographer: Jean-Louis Giuglaris
Collection Location: Regina, French Guiana
29055


Photographer: Denis Faure
Collection Location: French Guiana
22177

130425