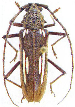
_Ch_and_Giesb_UNAM_Est_Biol_Chamela_Jalisco_Mex.jpg)
Eburia hatsueae Chemsak & Giesbert Specimen Type: holotype Sex: m Institution: UNAM Instituto de Biología, Universidad Nacional Autónoma de México, Mexico City Photographer: Susan Gomez (UNAM) Collection Location: Estacion Biologia Chamela, Jalisco, Mexico 29985
|
_Ch_and_Giesb_UNAM_Est_Biol_Chamela_Jalisco_Mex.jpg)
Eburia hatsueae Chemsak & Giesbert Specimen Type: holotype Sex: m Institution: UNAM Instituto de Biología, Universidad Nacional Autónoma de México, Mexico City Photographer: Susan Gomez (UNAM) Collection Location: Estacion Biologia Chamela, Jalisco, Mexico 29986
|
_Ch_and_Giesb_UNAM_Est_Biol_Chamela_Jalisco_Mex.jpg)
Eburia hatsueae Chemsak & Giesbert Specimen Type: holotype Sex: m Institution: UNAM Instituto de Biología, Universidad Nacional Autónoma de México, Mexico City Photographer: Susan Gomez (UNAM) Collection Location: Estacion Biologia Chamela, Jalisco, Mexico 29987
|
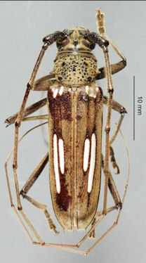
_Chemsak_and_Giesbert_Chamela_UCB.jpg)
Eburia hatsueae Chemsak & Giesbert Specimen Type: paratype Institution: UCB Essig Museum of Entomology, Berkeley, California, USA Photographer: Larry G. Bezark Collection Location: Chamela, Jalisco, Mexico 6893
|

Photographer: Felipe Noguera 6894
|

Institution: FTH Frank T. Hovore collection (now at California Academy of Sciences) Photographer: Larry G. Bezark 6895
|
|