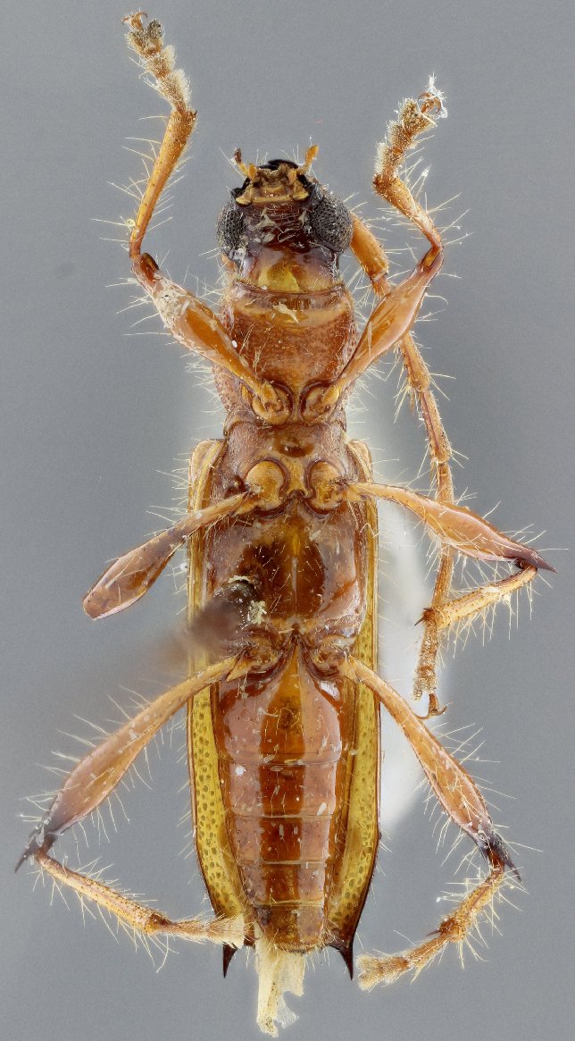
_Martins_MZSP_Lavras_MG_Brazil_SS.jpg)
Specimen Type: holotype Sex: m Institution: MZSP Museu de Zoologia da Universidade de São Paulo, Brazil Photographer: Antonio Santos-Silva Collection Location: Lavras, Minas Gerais, Brazil 63364
|
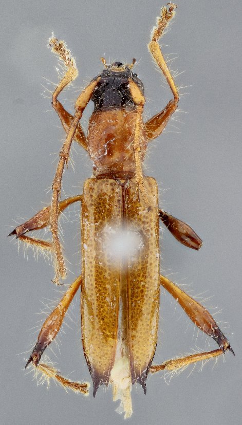
_Martins_MZSP_Lavras_MG_Brazil_SS.jpg)
Specimen Type: holotype Sex: m Institution: MZSP Museu de Zoologia da Universidade de São Paulo, Brazil Photographer: Antonio Santos-Silva Collection Location: Lavras, Minas Gerais, Brazil 63365
|
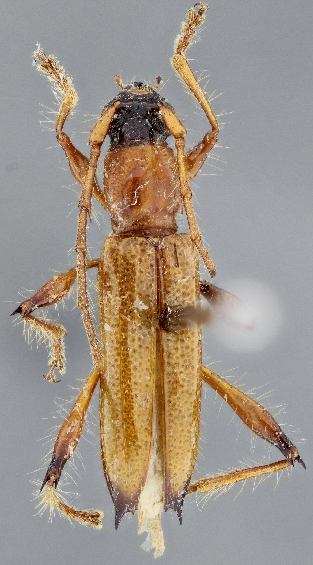
_Martins_MZSP_Lavras_MG_Brazil_SS.jpg)
Specimen Type: holotype Sex: m Institution: MZSP Museu de Zoologia da Universidade de São Paulo, Brazil Photographer: Antonio Santos-Silva Collection Location: Lavras, Minas Gerais, Brazil 63366
|
|