_LeConte_MCZ.jpg)
Specimen Type: holotype Institution: MCZ Museum of Comparative Zoology, Harvard University, Cambridge, MA, USA Photographer: P. Naskrecki, P. Perkins, and B. Farrell Collection Location: Fort Gates, Texas 944
|
_LeConte_MCZ.jpg)
Specimen Type: holotype Institution: MCZ Museum of Comparative Zoology, Harvard University, Cambridge, MA, USA Photographer: P. Naskrecki, P. Perkins, and B. Farrell Collection Location: Fort Gates, Texas 945
|
_LeConte_MCZ.jpg)
Specimen Type: holotype Institution: MCZ Museum of Comparative Zoology, Harvard University, Cambridge, MA, USA Photographer: P. Naskrecki, P. Perkins, and B. Farrell Collection Location: Fort Gates, Texas 946
|
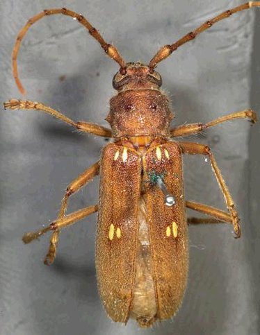
_LeConte_MCZ.jpg)
Specimen Type: holotype Institution: MCZ Museum of Comparative Zoology, Harvard University, Cambridge, MA, USA Photographer: P. Naskrecki, P. Perkins, and B. Farrell Collection Location: Fort Gates, Texas 940
|

Institution: FSCA Florida State Collection of Arthropods, Gainesville, FL, USA Photographer: Mike Thomas 941
|

Photographer: Larry G. Bezark 3419
|
|