_(m)_Noguera_NOG.jpg)
Specimen Type: holotype Sex: m Institution: EMEC Essig Museum of Entomology, Berkeley, CA, USA Photographer: Felipe Noguera Collection Location: Agua Valley, Culucos, Dept Yoro, Honduras 6888
|
_Noguera_Agua_Valley_Culucos_Dept_Yoro_Honduras_UCB.jpg)
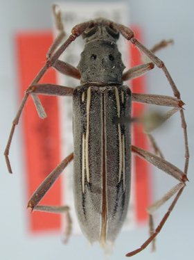
Specimen Type: holotype Sex: m Institution: UCB Essig Museum of Entomology, Berkeley, California, USA Photographer: Larry G. Bezark Collection Location: Agua Valley, Culucos, Dept Yoro, Honduras 16177
|
_Noguera_Agua_Valley_Culucos_Dept_Yoro_Honduras_UCB.jpg)
Specimen Type: allotype Sex: f Institution: UCB Essig Museum of Entomology, Berkeley, California, USA Photographer: Larry G. Bezark Collection Location: Agua Valley, Culucos, Dept Yoro, Honduras 16176
|
|