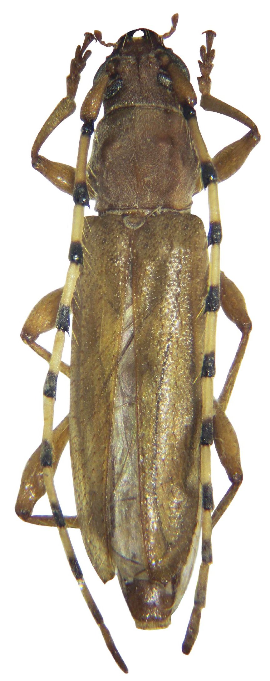
_Martins_CMNH_Isla_de_Cauropot_Brazil.jpg)
Specimen Type: holotype Sex: f Institution: CMNH Carnegie Museum of Natural History, Pittsburgh, PA, USA Photographer: Larry G. Bezark Collection Location: Isla de Cauropot, Brazil 33098
|
_Martins_CMNH_Ceram_Sul_Americanos.jpg)
Specimen Type: holotype Sex: f Institution: CMNH Carnegie Museum of Natural History, Pittsburgh, PA, USA Collection Location: Isla de Cauropot, Brazil 21225
|

Institution: Universidad Nacional del
Nordeste, Argentina Photographer: Nestor Valle Collection Location: Parque Chaco, Chaco, Argentina 81171
|
|