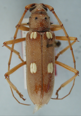
_(m)_Noguera_NOG.jpg)
Specimen Type: holotype Sex: m Institution: EMEC Essig Museum of Entomology, Berkeley, CA, USA Photographer: Felipe Noguera Collection Location: Parque Nacional Santa Rosa, H. Q. area, Guanacaste, Costa Rica 6882
|
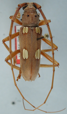
_Noguera_Santa_Rosa_Natl_Park_Guanacaste_Costa_Rica_UCB.jpg)
Specimen Type: holotype Sex: m Institution: UCB Essig Museum of Entomology, Berkeley, California, USA Photographer: Larry G. Bezark Collection Location: Parque Nacional Santa Rosa, H. Q. area, Guanacaste, Costa Rica 16175
|
_Noguera_La_Pacifica_Guanacaste_Costa_Rica_UCB.jpg)
Specimen Type: allotype Institution: UCB Essig Museum of Entomology, Berkeley, California, USA Photographer: Larry G. Bezark Collection Location: La Pacifica, Guanacaste, Costa Rica 16174
|
_Noguera_BCI_UCB.jpg)
Specimen Type: paratype Institution: UCB Essig Museum of Entomology, Berkeley, California, USA Photographer: Larry G. Bezark Collection Location: Barro CoIorado Island, Panama 6883
|
|