New Search Family, Subfamily and Tribe List

SubFamily Cerambycinae

Tribe Cerambycini Sphallotrichina
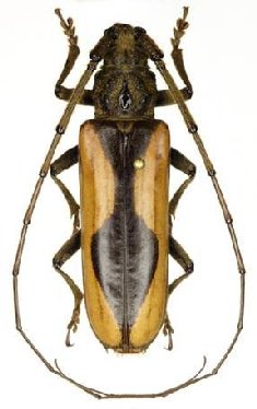
Ochrodion tavakiliani Martins & Monne 2005

Sex: f
Photographer: Frédéric Robin
Collection Location: Monne Saut Dalles, Sinnamary River, French Guiana
79330


Photographer: Jean-Louis Giuglaris
Collection Location: Kaw, French Guiana
28914


Photographer: Denis Faure
Collection Location: French Guiana
23105


21409

130425