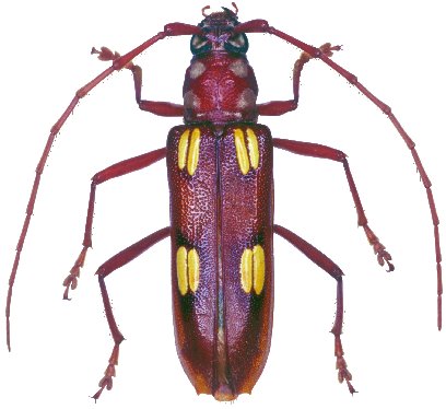
 Gahan BMNH Guadeloupe or Martinique Moure.jpg)
Specimen Type: syntype Institution: BMNH British Museum Natural History, London, UK Photographer: JS Moure Collection Location: Guadeloupe or Martinique 101009
|
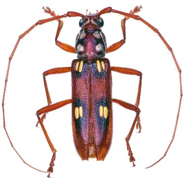
_Gahan_BMNH_JAC.jpg)
Specimen Type: syntype Institution: BMNH British Museum Natural History, London, UK Photographer: John Chemsak 16170
|