_Linsley_CAS_5045_LGB_=_Eburia.jpg)
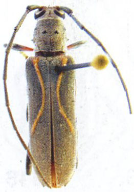
Eburodacrys cruciata Linsley Specimen Type: holotype Sex: f Institution: CAS California Academy of Sciences, San Francisco, CA, USA Photographer: Larry G. Bezark Collection Location: Bejucos, México (District of Temascaltepec), Mexico 20277
|

Institution: UCB Essig Museum of Entomology, Berkeley, California, USA Photographer: Larry G. Bezark Determiner: Noguera Collection Location: Mexico 6863
|