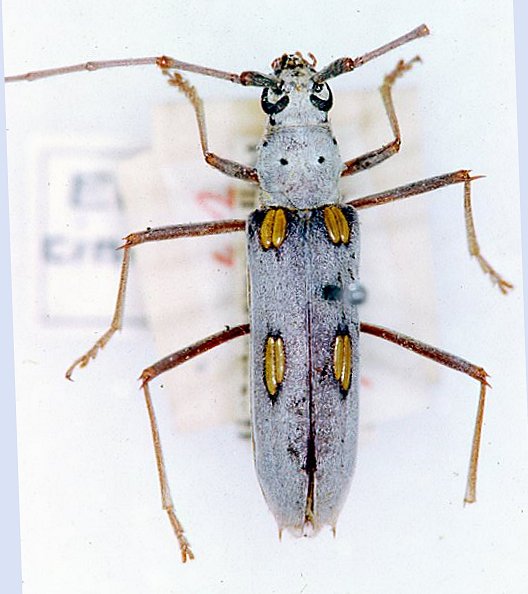
_Fisher_AMNH_Finca_San_Carlos_Guantanamo_Oriente_Cuba.jpg)
Specimen Type: holotype Sex: f Institution: AMNH American Museum of Natural History, New York, NY, USA Collection Location: Finca San Carlos, Guantanamo, Oriente, Cuba 27738
|
 Fisher AMNH Finca San Carlos, Guantanamo, Oriente, Cuba Moure.jpg)
Specimen Type: holotype Sex: f Institution: AMNH American Museum of Natural History, New York, NY, USA Photographer: JS Moure Collection Location: Finca San Carlos, Guantánamo, Oriente, Cuba 16164
|
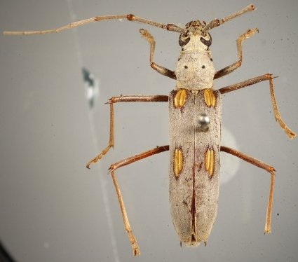
_Fisher_FSCA.jpg)
Institution: FSCA Florida State Collection of Arthropods, Gainesville, FL, USA Photographer: Mike Thomas 934
|

Institution: FSCA Florida State Collection of Arthropods, Gainesville, FL, USA Photographer: Mike Thomas 935
|
|