_Bates_BMNH_Capetillo_Sacatepequez_Guat_LGB.jpg)
Specimen Type: holotype Sex: m Institution: BMNH British Museum Natural History, London, UK Photographer: Larry G. Bezark Collection Location: Capetillo, Sacatepequez, Guatemala 46646
|
_Bates_BMNH_Capetillo_Sacatepequez_Guat_LGB.jpg)
Specimen Type: holotype Sex: m Institution: BMNH British Museum Natural History, London, UK Photographer: Larry G. Bezark Collection Location: Capetillo, Sacatepequez, Guatemala 46647
|
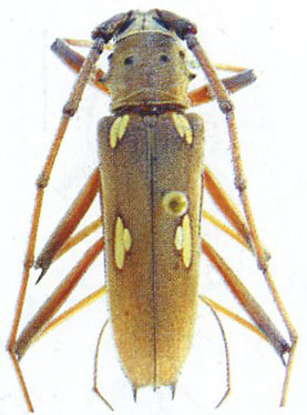
 Bates BMNH Capetillo, Sacatepequez, Guatemala Moure.jpg)
Specimen Type: holotype Sex: m Institution: BMNH British Museum Natural History, London, UK Photographer: JS Moure Collection Location: Capetillo, Sacatepequez, Guatemala 101000
|

Institution: BCA Biologia Centrali Americana 6843
|

Institution: UCB Essig Museum of Entomology, Berkeley, California, USA Photographer: Larry G. Bezark Determiner: Noguera Collection Location: Guatemala 6844
|

Photographer: Larry G. Bezark 6845
|

Photographer: Felipe Noguera 6846
|
|