 Bates BMNH Jalapa, Veracruz, Mexico Moure.jpg)
Specimen Type: lectotype Sex: f Institution: BMNH British Museum Natural History, London, UK Photographer: JS Moure Collection Location: Jalapa, Veracruz, Mexico 100999
|
_Chemsak_and_Linsley_CAS_11948_=_brevispinis.jpg)
Eburia affluens Chemsak & Linsley Specimen Type: holotype Sex: m Institution: CAS California Academy of Sciences, San Francisco, CA, USA Photographer: Larry G. Bezark Collection Location: X-can, Quintana Roo, Mexico 22210
|
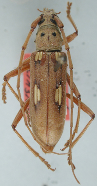
_Chemsak_and_Linsley_UCB_=_Eburia_brevispinis_Bates.jpg)
Eburia affluens Chemsak & Linsley Specimen Type: allotype Institution: UCB Essig Museum of Entomology, Berkeley, California, USA 16155
|
_Ch_and_Lins_UNAM_X-Can_Q_Roo_Mex_=_brevispinis.jpg)
Eburia affluens Chemsak & Linsley Specimen Type: paratype Institution: UNAM Instituto de Biología, Universidad Nacional Autónoma de México, Mexico City Photographer: Susan Gomez (UNAM) Collection Location: X-Can, Quintana Roo, Mexico 29979
|
_Ch_and_Lins_UNAM_X-Can_Q_Roo_Mex_=_brevispinis.jpg)
Eburia affluens Chemsak & Linsley Specimen Type: paratype Institution: UNAM Instituto de Biología, Universidad Nacional Autónoma de México, Mexico City Photographer: Susan Gomez (UNAM) Collection Location: X-Can, Quintana Roo, Mexico 29980
|
_Ch_and_Lins_UNAM_X-Can_Q_Roo_Mex_=_brevispinis.jpg)
Eburia affluens Chemsak & Linsley Specimen Type: paratype Institution: UNAM Instituto de Biología, Universidad Nacional Autónoma de México, Mexico City Photographer: Susan Gomez (UNAM) Collection Location: X-Can, Quintana Roo, Mexico 29981
|
_Chem_and_Linsley_Q_Roo_UCB_=_Eburia_brevispinis.jpg)
Eburia affluens Chemsak & Linsley Specimen Type: paratype Institution: UCB Essig Museum of Entomology, Berkeley, California, USA Photographer: Larry G. Bezark Collection Location: Quintana Roo, Mexico 6810
|

Photographer: Larry G. Bezark Determiner: Cope Collection Location: Quintana Roo, Mexico 6835
|

Institution: UCB Essig Museum of Entomology, Berkeley, California, USA Photographer: Larry G. Bezark Determiner: Noguera Collection Location: Yucatan, Mexico 6836
|

Institution: FTH Frank T. Hovore collection (now at California Academy of Sciences) Photographer: Larry G. Bezark 6837
|

Photographer: Felipe Noguera Collection Location: Veracruz, Mexico 6838
|

Photographer: Felipe Noguera Collection Location: Yucatan, Mexico 6839
|
|