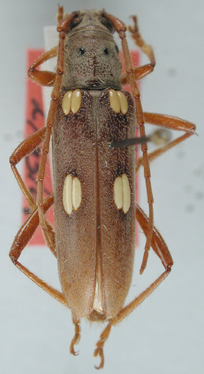
_Chemsak_and_Linsley_CAS_type_11949.jpg)
Specimen Type: holotype Sex: m Institution: CAS California Academy of Sciences, San Francisco, CA, USA Photographer: Larry G. Bezark Collection Location: X-Can, Quintana Roo, Mexico 22239
|
_Chemsak_and_Linsley_UCB.jpg)
Specimen Type: allotype Institution: UCB Essig Museum of Entomology, Berkeley, California, USA Photographer: Larry G. Bezark 16161
|
_Chem_and_Linsley_Mexico_Yucatan_Piste_UNAM.jpg)
Specimen Type: paratype Institution: UNAM Instituto de Biología, Universidad Nacional Autónoma de México, Mexico City Photographer: Susan Gomez (UNAM) Collection Location: Piste, Yucatan, Mexico 29982
|
_Chem_and_Linsley_Mexico_Yucatan_Piste_UNAM.jpg)
Specimen Type: paratype Institution: UNAM Instituto de Biología, Universidad Nacional Autónoma de México, Mexico City Photographer: Susan Gomez (UNAM) Collection Location: Piste, Yucatan, Mexico 29983
|
_Chem_and_Linsley_Mexico_Yucatan_Piste_UNAM.jpg)
Specimen Type: paratype Institution: UNAM Instituto de Biología, Universidad Nacional Autónoma de México, Mexico City Photographer: Susan Gomez (UNAM) Collection Location: Piste, Yucatan, Mexico 29984
|
_Chemsak_and_Linsley_Quintana_Roo_UCB.jpg)
Specimen Type: paratype Institution: UCB Essig Museum of Entomology, Berkeley, California, USA Photographer: Larry G. Bezark Collection Location: Quintana Roo, Mexico 6833
|

Photographer: Felipe Noguera 6834
|
|