_Bates_BMNH_River_Sarstoon_Toledo_Belize_nowSusuacanga_LGB.jpg)
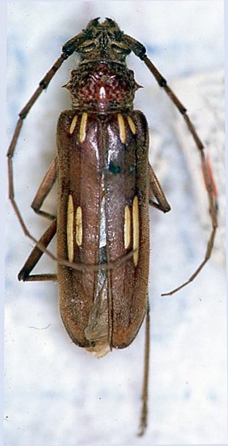
Eburia blancaneaui Bates Specimen Type: holotype Sex: f Institution: BMNH British Museum Natural History, London, UK Photographer: Larry G. Bezark Collection Location: River Sarstoon, Toledo, Belize 46644
|
 Bates BMNH River Sarstoon, Toledo, Belize now Sus Moure.jpg)
Eburia blancaneaui Bates Specimen Type: holotype Sex: f Institution: BMNH British Museum Natural History, London, UK Photographer: JS Moure Collection Location: River Sarstoon, Toledo, Belize 6829
|

Institution: BCA Biologia Centrali Americana 6830
|

Institution: UCB Essig Museum of Entomology, Berkeley, California, USA Photographer: Larry G. Bezark Determiner: Noguera Collection Location: Oaxaca, Mexico 6831
|

Photographer: Felipe Noguera 6832
|
|