New Search Family, Subfamily and Tribe List

SubFamily Cerambycinae

Tribe Eburiini
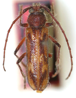
Dioridium hirsutum Zajciw 1961

Specimen Type: holotype
Sex: f
Institution: MNRJ Museu Nacional Universidade do Rio Janeiro, Brazil
Photographer: Steve Lingafelter
Collection Location: Coxim, Mato Grosso, Brazil
6623


21267

130425