_Lane_MNRJ_SWL_=_Dioridium.jpg)
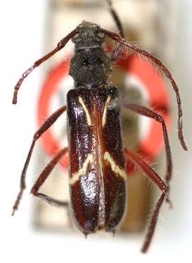
Mocajuba borgmeieri Lane Specimen Type: holotype Sex: f Institution: MNRJ Museu Nacional Universidade do Rio Janeiro, Brazil Photographer: Steve Lingafelter Collection Location: Mocajuba, Para, Brazil 10091
|
_JW.jpg)
Photographer: Jim Wappes Collection Location: Bolivia 42155
|