New Search Family, Subfamily and Tribe List

SubFamily Cerambycinae

Tribe Eburiini
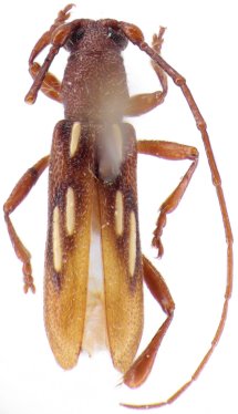
Cupanoscelis serrana Martins & Galileo 1999

Specimen Type: holotype
Sex: m
Institution: MCNZ Museu de Ciencas Naturais, Fundacao Zoobotanica do Rio Grande do Sul, Brazil
Collection Location: Minaçu (Serra da Mesa), Goias, Brazil
40013

130425