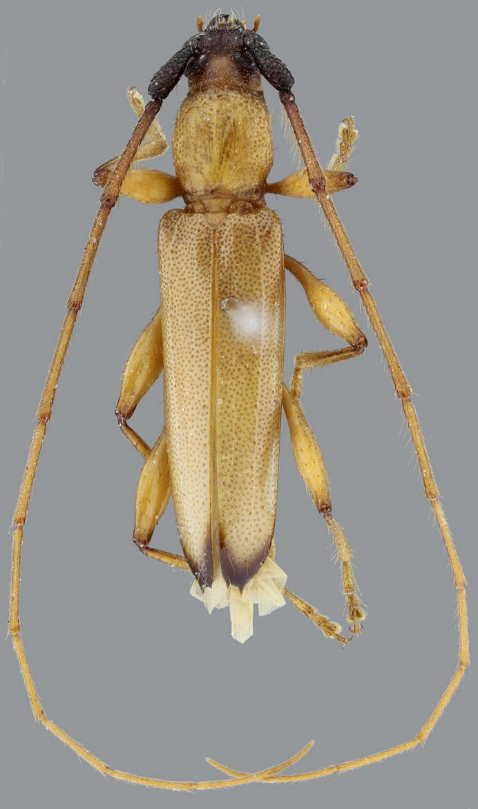
_Nascimento_Botero_MZSP_San_Luis_Antioq_Colombia.jpg)
Specimen Type: holotype Sex: m Institution: MZSP Museu de Zoologia da Universidade de São Paulo, Brazil Photographer: Francisco Nascimento Collection Location: San Luis (Vereda Filo de Hambre), Antioquia, Colombia 63976
|
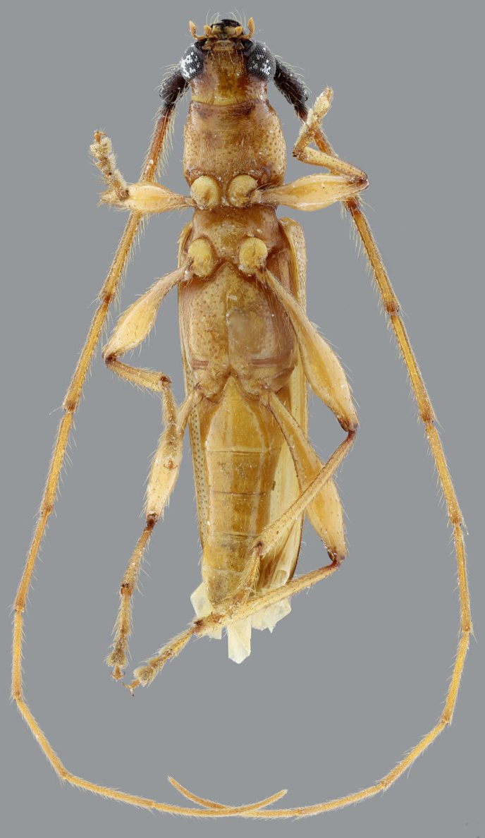
_Nascimento_Botero_MZSP_San_Luis_Antioq_Colombia.jpg)
Specimen Type: holotype Sex: m Institution: MZSP Museu de Zoologia da Universidade de São Paulo, Brazil Photographer: Francisco Nascimento Collection Location: San Luis (Vereda Filo de Hambre), Antioquia, Colombia 63977
|
_Nascimento_Botero_MZSP_San_Luis_Antioq_Colombia.jpg)
Specimen Type: holotype Sex: m Institution: MZSP Museu de Zoologia da Universidade de São Paulo, Brazil Photographer: Francisco Nascimento Collection Location: San Luis (Vereda Filo de Hambre), Antioquia, Colombia 63978
|
_Nascimento_Botero_MZSP_San_Luis_Antioq_Colombia.jpg)
Specimen Type: holotype Sex: m Institution: MZSP Museu de Zoologia da Universidade de São Paulo, Brazil Photographer: Francisco Nascimento Collection Location: San Luis (Vereda Filo de Hambre), Antioquia, Colombia 63979
|
|