 Gounelle MNHN Jatai, Goias, Brazil Moure.jpg)
Specimen Type: lectotype Sex: m Institution: MNHN Museum of Natural History Paris, France Photographer: JS Moure Collection Location: Jatai, Goias, Brazil 100779
|

Photographer: Jim Wappes Collection Location: Bolivia 6304
|

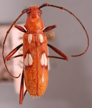
Institution: CAS California Academy of Sciences, San Francisco, CA, USA Photographer: Larry G. Bezark 6305
|
|